family CERAMBYCIDAE Latreille, 1802
subfamily LEPTURINAE Latereille, 1802
tribe Rhagiini Kirby, 1837
genus Akimerus Audinet-Serville, 1835
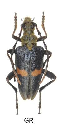
Akimerus schaefferi (Laicharting, 1784)
Subgenus Akimerus Audinet-Serville, 1835











Velikost 15-27 mm.
Bionomie. Výskyt tohoto druhu je vdy v závislosti na přítomnost velmi starých Quercus, nebo Quercet pařezinového původu. V pěstovaných dubinách kulturních lesů po výsadbách snad dosud nebyl nalezen. Dle váchy (1988) je larva vdy v hlubokých kořenech pod zemí. Larvy nalezl v mrtvých nebo odumírajících kořenech starých stromů. Vývoj nejméně tříletý. Přezimuje zřejmě jako larva. - Imága se vyskytují v VI. - VII., jednotlivě do poloviny VIII., maximum konec VI. a počátek VII. Za teplého počasí poletují kolem korun a v korunách stromů. Nasedají na listy, často i na rostliny pod stromy, méně často na květech, např. Daucaceae.
ivné rostliny - Quercus, udává se té Carpinus, Ulmus.
Variabilita. Variabilní bývá tvar a zbarvení luté příčné pásky u samic. Vzácně jsou krovky celé černé se lutou páskou.
Akimerus ariannae Pesarini & Sabbadini, 2007
subgenus Akimerus Audinet-Serville, 1835





Bionomie. Vyskytuje se v Řecku za téměř stejných podmínek jako předchozí druh.
Akimerus berchmansi Breit. 1915
Subgenus Akimeroides Özdikmen, 2025

